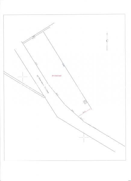
Građevinski plac u privrednoj zoni Batajnice uz magistralni put ka Pazovi (Novom Sadu) i budućeg kružnog toka i obilaznice sa direktnim priključenjem na E-70.
Voda, struja, kanalizacija.
Urađen idejni projekat za proizvodnu halu kao i mogućnost izgradnje hale „ključ u ruke“.
Front 300m, širina placa 50-77m.
Stepen zauzetosti 50%
Indeks izgrađenosti 1.2
Prudens Nekretnine
Slične nekretnine na našoj platformi